忍者ブログ

web おとしぶみ

「島根県自然観察指導員連絡協議会」の会報「おとしぶみ」。その編集メンバーの「あきあかね」が運営する、自然画報。

[PR]

×

[PR]上記の広告は3ヶ月以上新規記事投稿のないブログに表示されています。新しい記事を書く事で広告が消えます。

三瓶北の原の花々 令和元年2



ササユリ(笹百合)


今年も、笹百合の花の季節の到来。
此処の笹百合の花の色は白っぽいのが多い。日当たりの関係か、土質?
聞いてみたが、すまし顔。
ちょうど、木漏れ日が花に射しこみ、浮かび上がらせた


三瓶山北の原の花々 令和元年 1

カメラ機材を一新して、また同じような写真を撮っていきます。今までキャノンを使っておりましたが、ニコンに乗り換えました。まだカメラを使いこなせていませんが、新元号となり、気分一新で、同じような写真を撮っていきます。?



キンラン(金蘭)

毎年、同じ場所に出ていらっしゃいますが、盗掘されないか心配です。




エゴノキ

この記事を投稿する時分には、ほとんど花が散ってしまいました。




タンナサワフタギ

花の繊細な造りにいつも感嘆します。

三瓶北の原の花々 5

4月12日

お昼ぐらいから日差しも出てきましたが、肌寒い一日でした。




ウグイスカグラ(鶯神楽)
スイカズラ科

朝早くは小雨模様でした。 雨滴をまとった「ウグイスカグラ」さん。 北の原キャンプ場内のいつもの場所で撮影。





ヒサカキ(姫榊)
ツバキ科

小豆大ほどの小花が、もぶれさばっちょーます。 北の原キャンプ場内「電源付きサイト」付近にて。





ヤマヤナギ(山柳)
ヤナギ科

雌雄異株です。 この付近には雄株がかたまっちょーます。 北の原キャンプ場内「集団サイト」付近にて。






クロキ(黒木)
ハイノキ科

花が咲くと甘いにほひが、いたしまする。 北の原キャンプ場内「フリーサイト」付近にて。






ミヤマキケマン(深山黄華鬘)
ケシ科

前出の「ヤマヤナギ」さんの近くにひっそりこっそり・・・・・ではありませんね、しっかり目立っていらっしゃいます。 






アオイスミレ(葵菫)
スミレ科

北の原キャンプ場内のあちらこちらで見られるようになってきました。




「三瓶北の原の花々」というか「北の原キャンプ場内の花々」になってしまいますた。




馬着山で撮影した花々

4月9日

小雨模様のなか、美保関にある「馬着山(ばちゃくさん)」を歩いてきました。 美保関灯台と関の五本松公園入口を結ぶ遊歩道(3.9㎞)の途中に山頂があります。



馬着山山頂はそれほど眺望が良くはないですが、関の五本松公園展望所は眺望もよろしく、大きな東屋もあります。


関の五本松公園展望所

画像でも地面が荒れているのがわかると思いますが、「イノシシ」君の仕業です。






タチツボスミレ(立坪菫)
スミレ科

菫の仲間は他に「ナガバタチツボスミレ」「シハイスミレ」が咲いていました。







アオキ(青木)
ミズキ科

画像は雌花です。 雌雄異株です。 雄株雄花もありましたが、撮影に失敗しておりました。









ウグイスカグラ(鶯神楽)
スイカズラ科

雨滴をまとってまるで宝石のようでした。





三瓶北の原の花々 4

4月7日

今日は雨が降ったり止んだりしていました。 しかし暖かな一日でした。 キャンプ場内でも、春に咲く花々が見られるようになってきました。






アオイスミレ(葵菫)
スミレ科

此処の「アオイ」さんは、青紫色が素敵です。







コハコベ(小繁縷)
ナデシコ科

「アオイ」さんのすぐ傍らに「コハコベ」さんもぽつりぽつり。







ヤマナラシ(山鳴らし)
ヤナギ科

高い位置に花がついていたので脚立に登って撮影です。






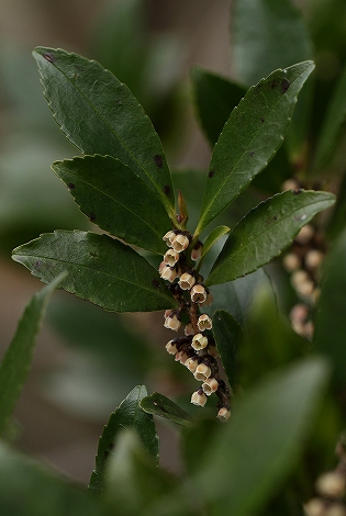
ヒサカキ(姫榊)
ツバキ科

今の時期、野山で鼻をつく独特のにほひがすることがありますが、そんな時は近くにこの方の花が咲いている証しです。 花被片が白いものもあります。





ウリハダカエデ(瓜膚楓)
カエデ科

キャンプ場内の管理道(アスファルト)上に芽生えた「ウリハダカエデ」さん。 去年の秋に落ちた翼果の上に落ち葉や泥が被さっていて、湿気が保たれたのでしょう。 でもいずれどこかに移植してあげなきゃ。





三瓶北の原の花々 3

4月5日

4月に入って、ようやく風の冷たさがやわらいできた三瓶北の原、少しずつ早春の花々が見受けられるようになりました。



アオイスミレ(葵菫)
スミレ科

此処のアオイスミレさんは草丈2.5cm位です。 とってもかわいいですよ。







オキナグサ(翁草)
キンポウゲ科

オキナグサさんも草丈は4cm位ですが、もう花を咲かせだしました。






三瓶北の原の花々 2

前回の記事にあげた「ダンコウバイ」と「アセビ」のその後、3月19日~3月30日までの変化です。
先ずは「ダンコウバイ」さんから。



3月19日



3月22日



3月24日



3月25日



3月27日



3月29日



花のアップ



3月30日




続いて「アセビ」さん。



3月19日



3月23日



3月24日



3月25日



3月27日



3月29日



3月30日


どうですか? 暇人ですね?

三瓶北の原の花々 1

3月18日(土)

出勤日の朝の日課、それは仕事前に植物の表情を撮影すること。 北の原の朝はまだまだ寒いですが、早春の花々の蕾は充実してきています。


ダンコウバイ(檀香梅)
クスノキ科





アセビ(馬酔木)
ツツジ科




沢山の花粉がさばっちょうます。 蕗の花です。

フキ(蕗)
キク科

川本町にて

3月14日(火)

花友達のHPで「イズモコバイモ」の開花が遅れている情報を得た私は、『「アオイスミレ」か「ナガハシスミレ」を探しに行こうかな』などと考えていたが、やっぱり川本町の「イズモコバイモ」に逢いに行こうと西へと車を進めた。 途中落石の危険があるため、迂回を余儀なくされたが、無事に到着。 さっそく自生地へと・・・・・確かに開花株はすくない。けれど、たくさんの蕾を確認した。

このように葉っぱで蕾を包んだ状態で地中から伸びていらっしゃいます。

はい、葉っぱが展開しだすと蕾があらわれましたね。



もう少しだ、開花まで。

開花した株は、10数株といったところでしょうか。 けふは撮影せずにおきました。 また数日おいて逢いに行きませう。


この自生地には「セリバオウレン」もいらっしゃいます。 繊細な花にいつも感動します。

セリバオウレン(芹葉黄蓮)
キンポウゲ科


花被片に淡紅紫色が入った方も。


この時期は、苔もきれいです。 近くにこんな目玉親父がたくさん。



タマゴケです。 丸い胞子嚢がかわいいですね。



撮影に熱中していると、背後から声をかけてくる人が、振り返ると川本町在住の花友達でした。
『「良い場所」を案内するからついておいで。』




シロバナネコノメソウ(白花猫の目草)
ユキノシタ科


オニシバリ(鬼縛り)
ジンチョウゲ科

花友の自宅の近くに素敵な場所がありました。 案内して頂き有難うございました。 また、お邪魔します。